18件(会員物件 4件)
-
NEW
1,680万円
- / 127.28㎡ / -
- プロパンガス
- 電気有
- 公共下水
東飯能駅よりバス便利用可、停歩3分の立地の建築条件付土地です。
約38坪のきれいな整形地になります。
周辺環境と合わせてご覧になりませんか?
詳細につきましてはアクシアホームまでお問合せ下さい。 -
NEW
1,680万円
- / 127.28㎡ / -
- プロパンガス
- 電気有
- 公共下水
東飯能駅よりバス便利用可、停歩3分の立地の建築条件付土地です。
約38坪のきれいな整形地になります。
周辺環境と合わせてご覧になりませんか?
詳細につきましてはアクシアホームまでお問合せ下さい。 -
NEW
1,980万円
- / 120.10㎡ / -
- プロパンガス
- 電気有
- 陽当り良好
- 公共下水
東飯能駅よりバス便利用可、停歩3分の立地の建築条件付土地です。
陽当たり・通風良好な南東角地に面しております。
周辺環境と合わせてご覧になりませんか?
詳細につきましてはアクシアホームまでお問合せ下さい。 -
NEW
1,880万円
- / 120.10㎡ / -
- プロパンガス
- 電気有
- 陽当り良好
- 公共下水
東飯能駅よりバス便利用可、停歩3分の立地の建築条件付土地です。
陽当たり良好な南道路に面しております。
周辺環境と合わせてご覧になりませんか?
詳細につきましてはアクシアホームまでお問合せ下さい。 -
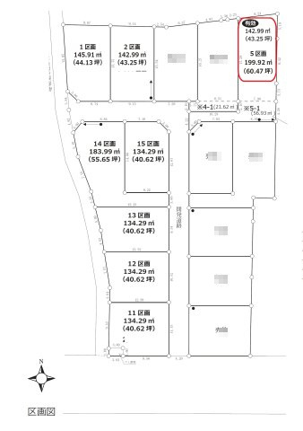
NEW
1,980万円
- / 199.92㎡ / -
- プロパンガス
- 閑静な住宅地
- 公共下水
全15区画の大型分譲地、建築条件付売地のご紹介です。
参考間取りあります!こんなお家はいかがでしょうか!!
周辺は買物施設が充実の便利な住環境!
周辺環境と合わせてご覧になりませんか?
お気軽にお問合せください。 -
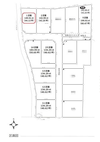
NEW
2,080万円
- / 145.91㎡ / -
- プロパンガス
- 閑静な住宅地
- 公共下水
全15区画の大型分譲地、建築条件付売地のご紹介です。
参考間取りあります!こんなお家はいかがでしょうか!!
周辺は買物施設が充実の便利な住環境!
周辺環境と合わせてご覧になりませんか?
お気軽にお問合せください。 -
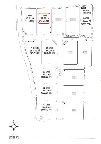
NEW
2,080万円
- / 142.99㎡ / -
- プロパンガス
- 閑静な住宅地
- 公共下水
全15区画の大型分譲地、建築条件付売地のご紹介です。
参考間取りあります!こんなお家はいかがでしょうか!!
周辺は買物施設が充実の便利な住環境!
周辺環境と合わせてご覧になりませんか?
お気軽にお問合せください。 -
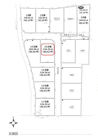
NEW
2,180万円
- / 134.29㎡ / -
- プロパンガス
- 閑静な住宅地
- 公共下水
全15区画の大型分譲地、建築条件付売地のご紹介です。
参考間取りあります!こんなお家はいかがでしょうか!!
周辺は買物施設が充実の便利な住環境!
周辺環境と合わせてご覧になりませんか?
お気軽にお問合せください。 -
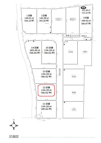
NEW
1,980万円
- / 134.29㎡ / -
- プロパンガス
- 閑静な住宅地
- 公共下水
全15区画の大型分譲地、建築条件付売地のご紹介です。
参考間取りあります!こんなお家はいかがでしょうか!!
周辺は買物施設が充実の便利な住環境!
周辺環境と合わせてご覧になりませんか?
お気軽にお問合せください。 -
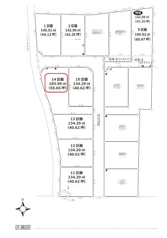
NEW
1,780万円
- / 183.99㎡ / -
- プロパンガス
- 閑静な住宅地
- 公共下水
全15区画の大型分譲地、建築条件付売地のご紹介です。
参考間取りあります!こんなお家はいかがでしょうか!!
周辺は買物施設が充実の便利な住環境!
周辺環境と合わせてご覧になりませんか?
お気軽にお問合せください。 -
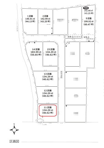
NEW
1,980万円
- / 134.29㎡ / -
- プロパンガス
- 閑静な住宅地
- 公共下水
全15区画の大型分譲地、建築条件付売地のご紹介です。
参考間取りあります!こんなお家はいかがでしょうか!!
周辺は買物施設が充実の便利な住環境!
周辺環境と合わせてご覧になりませんか?
お気軽にお問合せください。 -
会員限定
-
会員限定
-
NEW
1,100万円
- / 146.04㎡ / -
- プロパンガス
- 陽当り良好
- 閑静な住宅地
- 自由設計対応
- 公共下水
自然の豊かな場所で暮らしたい、家族との時間を大切にしたい!
そんな方にオススメな立地です。
周辺環境と合わせてご覧になりませんか?
[お問合せ]・[来店予約]から是非お気軽にご連絡ください! -
NEW
1,230万円
- / 162.95㎡ / -
- プロパンガス
- 陽当り良好
- 閑静な住宅地
- 自由設計対応
- 公共下水
自然の豊かな場所で暮らしたい、家族との時間を大切にしたい!
そんな方にオススメな立地です。
周辺環境と合わせてご覧になりませんか?
[お問合せ]・[来店予約]から是非お気軽にご連絡ください! -
会員限定
-
会員限定
東飯能駅よりバス便利用可、停歩3分の立地の建築条件付土地です。
約38坪のきれいな整形地になります。
周辺環境と合わせてご覧になりませんか?
詳細につきましてはアクシアホームまでお問合せ下さい。